肌診断機 A-ONE パソコン付き
(2720件)
Pontaパス特典
サンキュー配送
201600円(税込)
2016ポイント(1%)
Pontaパス会員ならさらに+1%ポイント還元!
送料
(
)
2702
配送情報
お届け予定日:2026.05.02 5:29までにお届け
※一部地域・離島につきましては、表示のお届け予定日期間内にお届けできない場合があります。
ロットナンバー
17770150996
お買い物の前にチェック!
Pontaパス会員なら
ポイント+1%
ポイント+1%
商品説明
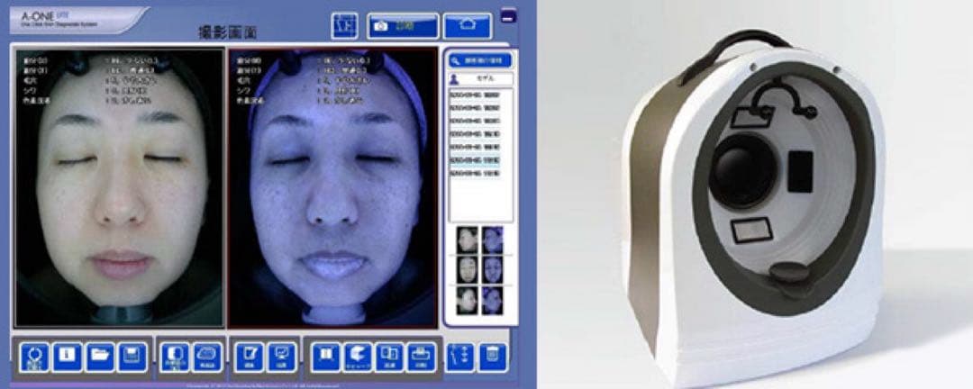
肌診断機械 A-ONE説明書、DVD付きパソコンも一緒にお送りします。タカラベルモント モイスチャーケアミスト。。一台5役の業務用高性能セルフエステマシン。ネット販売価格880,000円数年前に購入イベントで数回使用ダンボールは捨ててしまった為、しっかり梱包してから発送いたします。ご縁がありましたらよろしくお願いいたします。水玉リフティング LDM SONOと同等マシン 韓国肌管理レビュー
商品の評価:




4.4点(2720件)
- サニーボーイ7999
- 皆さんのレビューで評判が良かったので、膝を怪我で傷めた母へプレゼントしたところ「とっても効く!痛みが嘘のよう」と言ってくれました。母に頼まれ今回2回目の購入です。これからもリピし続けます♪
- mame-mame-samosi
- 商品を飲み始めて、1ヶ月半ほど経ちました。 こちらの商品を飲み始めて、ダイエット効果は表れていませんが、長年悩ませれていた便秘が解消されました( ^∀^) ありがとうございます。今後も飲み続けていきたいと思っています。
- nexus30
- 今回はお友達にプレゼントで、購入さました!
- ばーした
- "今回初めてこちらのグルコサミン+コンドロイチン+MSMを購入しました。 お年のワンコに朝・晩飲ませてます。 今まではアメリカサプリだったのですが、どっちがいいかはまだわからないですが とってもお安いですね。 無くなるまで飲ませます。変わりないようなら又リピします。 PS
- koslowski
- 仕事もかなりハードな母が、膝の痛みを訴えていたので半年分でお得に購入出来るこの機会にプレゼントしてみました。 レビューを見て効き目を感じる評価が多かったので期待大です (*^^*)
- アカベイ1462
- 欲しいとのことで注文。 毎日のんでいます。 ありがとうございました。
- monougena
- 毎日仕事でもハードな母。 ここ数年で年齢もあり、 膝が痛いと言い始めるように…、 立つ座るなどの行動が辛そうでした。 ちょっとでも、その辛さが軽減すれば!と思い、 最近話題?のグルコサミンを検索すると、 こちらのオーガランドさんが出てきたので購入させていただきました(^^) 安くて良いのが長く続けるには必要事項だと思います★ まだ、のみ始めなので効果はわかりませんが、また書かせていただきます(^3^)/ ちなみに購入する際、 レビューにヒアルロン酸と一緒に取るのが効果的と書いてありましたので、一緒に購入しました♪
- コウイチ1116
- 早く届き、母も大満足で良かったです!ありがとうございました。
- erry3741
- 脂っこいものを食べても体脂肪が上がらないので効いているのだと思います。小さい粒で飲みやすく、お手軽です。
- ゆうー8861
- 今3袋目を飲んでいて、もう少しで無くなりそうなので今回また注文しました。 効果は正直わかりません(笑)ダイエットの為に運動もしてるし、食事制限もしているので、 これのおかげで体重が減ってるとは思えず(笑) でも油っこい物とかつい食べちゃうので、ダイエットにならなくても 体の中で健康のためにちょっとでも効いててくれればいいかなーと思います。
- Yukko77
- 母のためにお試し。安くてお試しには良いかも!!母が使ってよさそうならりぴしてあげたいとおもいます!!
- AYANOchan
- いつもダイエットサプリを購入させていただいているのですが、 母親のために購入しました! 腰痛もちでしたが、ちょっとずつよくなってきているそうです。 値段もお安いので大満足です。
- U3700
- メール便だと送料無料なので助かっています。膝の関節痛があるので、これを飲んでると痛みが全くないです。
- 朱鳥741
- 以前はキノコキトサンの方を飲んでいました。 キノコキトサンは食前に飲むタイプなので忘れてしまうことが多かったですが… こちらは食後に飲むタイプ。 キノコキトサンの方は体に合っていたようで長いこと飲んでいましたが こちらの方がお安いので試しに…と思って飲み始めて1週間での感想です。 こういう類のサプリは便秘の人向けだと思います。 1日食べた食の数だけ便が出るのが正常と言われています。 こちらを飲むと前回食べた物がすぐに排出されるような快便を味わえます。 お腹が痛くなるといったようなことも摂取量を守れば平気かと思います。 体重は現状維持といったところ。 増えないので良いですが痩せるためにはやっぱり運動と並行しないと。
- ま18693191
- 母がこの頃、腰の調子が悪いので注文してみました。少しでも改善するといーな。
すべて見る
お店の情報
7,367
連絡・応対
4.3
配送スピード
4.3
梱包
4.3










